Metline (batterie de)[e72][37.251682, 10.044430] 🌎

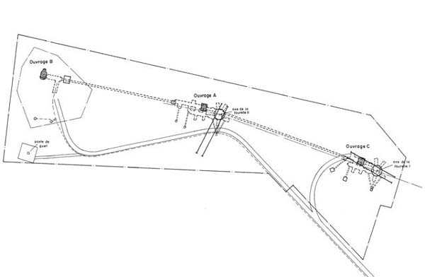
Bizerte, Cet ouvrage est l’aboutissement du concept de la batterie d’artillerie principale, tel que défini par l’ingénieur en chef de l’artillerie navale Lecointre. Ses 4 canons de 340 Mle 1912, sont installés dans 2 tourelles Mle 1928, fabriquées par Schneider. Ces canons ont été étudiés pour l’armement des cuirassés de la classe Normandie, dont la fabrication a été arrêtée en 1914. La construction des tubes a continué après la guerre. Mesurant plus de 16 mètres, et pesant 66 tonnes, le matériel de 340 Mle 12 peut expédier un obus RC, pesant 575 kg, à 35 000 mètres. La tourelle Mle 28, est dérivée du Mle 24, installé à la batterie de Cépet, à Toulon. Elle n’en diffère que par l’adjonction, sous la chambre de tir, d’une chambre relais permettant de donner une hauteur variable aux monte-charges, autorisant ainsi la construction de l’ouvrage en galerie de mine. La tourelle est protégée par un blindage de 270 mm sur l’avant et sur le dessus, et de 170 mm sur les côtés et sur l’arrière. Un canon de 100 Mle 1897-17, destiné au tir réduit, est installé sur le toit. Le poids de l’ensemble tournant est de plus de 600 tonnes. La cadence de tir est d’une salve toutes les 50 secondes, par tourelle. La gestation de l’ouvrage va être longue, puisque les travaux ne démarrent réellement qu’en 1936, alors que les premiers projets citant El Metline datent de 1923. Entre temps, difficultés financières et fluctuations politiques vont ce succéder. C’est la Société Tunisienne Chauffour-Dumez qui est chargée de la construction de la batterie, qui ne comporte alors qu’une tourelle, par marché du 18 juin 1936. Mais c’est le PV N° 200 du 15 novembre 1936, qui, en rajoutant l’ouvrage C, donne son aspect quasi-définitif à l’ouvrage. Les travaux vont s’étaler jusqu’en juin 1940. La batterie est implantée sur le djebel Bou Choucha, à 16 kilomètres à l’est de Bizerte, à l’altitude moyenne de 230 mètres. Elle est constituée de trois éléments distincts, comportant chacun une issue en puits avec monte-charge, et reliés entre eux par une galerie souterraine. De l’ouest vers l’est, on trouve ainsi l’ouvrage B, infrastructure du PC et du PDT, l’ouvrage A, infrastructure de la tourelle II et l’ouvrage C, infrastructure de la tourelle I. Les entraxes sont de 320 mètres entre les 2 tourelles, et de 330 mètres entre la tourelle II et le PDT. L’ouvrage A, qui inclut la tourelle II, la seule qui sera opérationnelle, comprend le massif de la tourelle, en béton armé, de 20,40 mètres de diamètre et haut de 7 mètres. La cuve de la tourelle, située au centre du massif, est reliée par un puits de 6,20 mètres, à la chambre de distribution, autour de laquelle s’organisent les différentes soutes à projectiles et à gargousses, d’une capacité de 200 coups, disposées en étoile. Un couloir de communication relie cette partie aux locaux annexes, qui comprennent l’usine principale, avec ses 2 groupes SGCM de 530 kwh, l’usine auxiliaire, équipée de 2 groupes de 30 kwh, le local des caisses à gas-oil, l’atelier et le système de ventilation à air conditionné. Il n’y a pas de locaux de vie. Parcouru par une voie de 60, ces différents éléments s’inscrivent dans un rectangle de 112 sur 40 mètres. Le radier est à la cote 206,60. Une gaine, renfermant le puits du monte-charge et l’escalier, débouche dans l’issue principale bétonnée, qui affleure à la cote 231. L’ouvrage B, relié à l’ouvrage A par une galerie de 243 mètres et un escalier de 112 marches, comprend le PC, équipé d’un conjugateur C Mle 1931-35, le PDT avec son poste télémétrique accolé, doté d’un H Mle 34, et une issue du même type que l’ouvrage A, mais réduite. Un petit blockhaus sera coulé ultérieurement pour protéger cette issue. Le PDT dont le radier est à la cote 251,80, communique avec le PC par un puits à échelons de 21,10 mètres. Un PDT auxiliaire était prévu au cap Blanc, mais seul le gros œuvre en sera achevé. L’ouvrage C, qui inclut la tourelle I, est très semblable à l’ouvrage A, auquel il est relié par une galerie de 235 mètres parcouru par la voie de 60. Son usine principale ne comporte qu’un seul groupe, et la place gagnée a permis de réaliser un casernement pour 48 hommes. Les soutes à projectiles sont un peu plus longues, pour y loger 50 coups « contre la terre ». Cet ouvrage ne sera jamais opérationnel. En juin 1940, la tourelle I était montée, mais non réglée, l’installation électrique non posée, le groupe électrogène et le monte-charge non installés. La tourelle I n’a jamais ouvert le feu. Les premiers tirs d’essais de la tourelle II ont lieu en février 1940. A la date du 27 avril de la même année, l’effectif est de 150 hommes, hors officiers. L’effectif total de la batterie à 2 tourelles, était estimé à 300 hommes, officiers compris. Le casernement extérieur, construit quelques années avant la batterie, était d’ailleurs prévu pour cet effectif. L’ouvrage est placé en position « désarmé armistice » en octobre 1940, et réarmé au complet guerre le 16 juin 1941. La clôture de l’armement, pour la batterie à une tourelle, est prononcée le 1er janvier 1942. A la date du 9 mars 1942, les canons de la tourelle II, R 1922 N° 2 et 4, ont tiré chacun 50 coups. La marine italienne prend possession de la batterie en novembre 1942. Elle l’abandonnera, sabordée, en mai 1943. Malgré des projets de remise en état, elle est désarmée en 1956, puis ferraillée, avant d’être remise à l’Etat tunisien le 12 février 1961. De nos jours, c’est une école de sous-officiers qui occupe le site. L’ouvrage, complètement vide, impressionne par ses dimensions. Les voussoirs d’avant-cuirasse des tourelles sont toujours la, mais le PDT a perdu son blindage. Le réduit défensif de Metline-Zébib, avait pour mission la protection terrestre des batteries de Metline et du Cap Zébib. Il comprend 7 casemates doubles et une simple, un PC et un observatoire. Une casemate double, avec coupole de mitrailleuse, défend la plage de Beni-Ata, et trois canons de 47 sur plateforme interdisent les routes d’accès au plateau. La casemate simple1bis est toujours visible à côté du PDT de Metline, ainsi que la casemate double GM qui défend le col situé entre le plateau et la batterie du Cap Zébib. L’observatoire O est également visible, à proximité du château d’eau du village de Metline. Un fossé antichar, flanqué par des canons de 75 sur affût Mle 1916 était en cours de réalisation en 1942. Il semble qu’un seul canon ait été installé. Quand à la DCA, elle comprenait 4 mitrailleuses de 8 mm, installées dans des petites cuves, à proximité du PDT de Metline. Appelée indifféremment Metline ou El Metline. Dieses Werk ist der Höhepunkt des Konzepts der Hauptartilleriebatterie, wie es vom leitenden Ingenieur der Marineartillerie, Lecointre, definiert wurde. Ihre 4 Geschütze 340 Mle 1912 sind in 2 Türmen Mle 1928 installiert, hergestellt von Schneider. Diese Geschütze wurden für die Bewaffnung der Schlachtschiffe der Normandie-Klasse entwickelt, deren Bau 1914 eingestellt wurde. Der Rohrbau wurde nach dem Krieg fortgesetzt. Mit einer Länge von über 16 Metern und einem Gewicht von 66 Tonnen kann das Material 340 Mle 12 einen 575 kg schweren Panzersprenggranaten-Geschoss (RC) auf 35.000 Meter verschießen. Der Turm Mle 28 leitet sich vom Mle 24 ab, der in der Batterie Cépet in Toulon installiert ist. Er unterscheidet sich nur durch den Zusatz einer Relaiskammer unter der Schusskammer, die den Munitionsaufzügen eine variable Höhe gibt und so den Bau des Werks in Minenstollen ermöglicht. Der Turm ist mit einer 270 mm starken Panzerung vorne und oben und 170 mm an den Seiten und hinten geschützt. Ein Geschütz 100 Mle 1897-17 für Reduziertes Übungsschießen ist auf dem Dach installiert. Das Gewicht des drehenden Teils beträgt über 600 Tonnen. Die Feuergeschwindigkeit beträgt eine Salve alle 50 Sekunden pro Turm. Die Entstehungsgeschichte des Werks wird lang sein, da die Arbeiten erst 1936 wirklich beginnen, während die ersten Projekte, die El Metline erwähnen, aus dem Jahr 1923 stammen. In der Zwischenzeit folgen Finanzschwierigkeiten und politische Schwankungen aufeinander. Die Société Tunisienne Chauffour-Dumez wird mit dem Bau der Batterie beauftragt, die damals nur einen Turm umfasst, durch Vertrag vom 18. Juni 1936. Aber es ist das PV Nr. 200 vom 15. November 1936, das durch die Hinzufügung von Werk C dem Werk sein quasi-endgültiges Aussehen verleiht. Die Arbeiten werden sich bis Juni 1940 hinziehen. Die Batterie ist auf dem Djebel Bou Choucha, 16 Kilometer östlich von Bizerte, in einer durchschnittlichen Höhe von 230 Metern angelegt. Sie besteht aus drei separaten Elementen, die jeweils einen Schachtausgang mit Aufzug haben und durch einen unterirdischen Gang miteinander verbunden sind. Von West nach Ost findet man so Werk B, die Infrastruktur des Gefechtsstands und des PDT, Werk A, die Infrastruktur von Turm II und Werk C, die Infrastruktur von Turm I. Die Achsabstände betragen 320 Meter zwischen den 2 Türmen und 330 Meter zwischen Turm II und dem PDT. Werk A, das Turm II einschließt, den einzigen, der einsatzbereit sein wird, umfasst den Turmblock aus Stahlbeton mit 20,40 Metern Durchmesser und 7 Metern Höhe. Der Turmsockel, in der Mitte des Blocks gelegen, ist über einen 6,20 Meter tiefen Schacht mit der Verteilerkammer verbunden, um die sich verschiedene Munitions- und Treibladungsmagazine mit einer Kapazität von 200 Schuss sternförmig anordnen. Ein Verbindungsgang führt von diesem Teil zu den Nebenräumen, die das Hauptkraftwerk mit seinen 2 SGCM-Gruppen à 530 kWh, das Hilfskraftwerk mit 2 Gruppen à 30 kWh, den Raum für die Dieselkraftstofftanks, die Werkstatt und die Klimaanlage umfassen. Es gibt keine Unterkünfte. Von einer 60-cm-Spur durchzogen, fügen sich diese verschiedenen Elemente in ein Rechteck von 112 mal 40 Metern ein. Die Sohle liegt auf Höhe 206,60. Ein Schacht, der den Aufzugsschacht und die Treppe enthält, mündet in den betonierten Hauptausgang, der auf Höhe 231 ansteht. Werk B, mit Werk A durch einen 243 Meter langen Gang und eine Treppe mit 112 Stufen verbunden, umfasst den Gefechtsstand, ausgerüstet mit einem Koordinatenumwerter C Mle 1931-35, das PDT mit seinem angeschlossenen Entfernungsmessposten, ausgestattet mit einem H Mle 34, und einen Ausgang gleichen Typs wie Werk A, jedoch kleiner. Ein kleiner Bunker wird später zum Schutz dieses Ausgangs gegossen werden. Das PDT, dessen Sohle auf Höhe 251,80 liegt, kommuniziert mit dem Gefechtsstand über eine Stangentreppe von 21,10 Metern. Ein Hilfs-PDT war auf Kap Blanc vorgesehen, aber nur der Rohbau wird davon fertiggestellt. Werk C, das Turm I einschließt, ist Werk A sehr ähnlich, mit dem es durch einen 235 Meter langen, von einer 60-cm-Spur durchzogenen Gang verbunden ist. Sein Hauptkraftwerk hat nur eine Gruppe, und der gewonnene Platz ermöglichte den Bau einer Unterkunft für 48 Mann. Die Munitionsmagazine sind etwas länger, um 50 Schuss „gegen Landziele“ unterzubringen. Dieses Werk wird niemals einsatzbereit sein. Im Juni 1940 war Turm I montiert, aber nicht eingeschossen, die elektrische Installation nicht verlegt, das Stromaggregat und der Aufzug nicht installiert. Turm I hat nie das Feuer eröffnet. Die ersten Probeschüsse von Turm II finden im Februar 1940 statt. Zum Stand vom 27. April desselben Jahres beträgt der Personalbestand 150 Mann, ohne Offiziere. Der Gesamtbestand der Batterie mit 2 Türmen wurde auf 300 Mann, einschließlich Offiziere, geschätzt. Die externe Unterkunft, die einige Jahre vor der Batterie gebaut wurde, war übrigens für diese Stärke vorgesehen. Das Werk wird im Oktober 1940 in die Stellung „Waffenstillstands-entwaffnet“ versetzt und am 16. Juni 1941 wieder vollständig kriegsmäßig bewaffnet. Die Abschlussmeldung der Bewaffnung für die Ein-Turm-Batterie erfolgt am 1. Januar 1942. Zum Stand vom 9. März 1942 haben die Geschütze von Turm II, R 1922 Nr. 2 und 4, jeweils 50 Schuss abgefeuert. Die italienische Marine übernimmt die Batterie im November 1942. Sie wird sie im Mai 1943 aufgegeben und selbstversenkt zurücklassen. Trotz Wiederinstandsetzungsprojekten wird sie 1956 entwaffnet, dann verschrottet, bevor sie am 12. Februar 1961 an den tunesischen Staat übergeben wird. Heutzutage belegt eine Unteroffiziersschule das Gelände. Das Werk, völlig leer, beeindruckt durch seine Ausmaße. Die Panzervorsatzringe der Türme sind noch da, aber das PDT hat seine Panzerung verloren. Das Verteidigungsreduit von Metline-Zébib hatte die Aufgabe des Landschutzes der Batterien von Metline und Kap Zébib. Es umfasst 7 Doppelkasematten und eine einfache, einen Gefechtsstand und einen Beobachtungsstand. Eine Doppelkasematte mit MG-Kuppel verteidigt den Strand von Beni-Ata, und drei Geschütze 47 auf Plattformen sperren die Zufahrtsstraßen zum Plateau. Die einfache Kasematte 1bis ist immer noch neben dem PDT von Metline sichtbar, ebenso wie die Doppelkasematte GM, die den Pass zwischen dem Plateau und der Batterie Kap Zébib verteidigt. Der Beobachtungsstand O ist ebenfalls in der Nähe des Wasserturms des Dorfes Metline sichtbar. Ein Panzergraben, der von 75er Geschützen auf Lafette Mle 1916 flankiert werden sollte, war 1942 im Bau. Es scheint, dass nur ein Geschütz installiert wurde. Was die Flugabwehr betrifft, umfasste sie 4 Maschinengewehre 8 mm, installiert in kleinen Gruben in der Nähe des PDT von Metline. Gleichbedeutend Metline oder El Metline genannt. Dit werk is het hoogtepunt van het concept van de hoofdartilleriebatterij, zoals gedefinieerd door de hoofdingenieur van de marineartillerie Lecointre. Haar 4 kanonnen 340 Mle 1912 zijn geïnstalleerd in 2 koepels Mle 1928, vervaardigd door Schneider. Deze kanonnen waren bestudeerd voor de bewapening van de slagschepen van de Normandie-klasse, waarvan de bouw in 1914 werd stopgezet. De bouw van de lopen ging na de oorlog door. Meer dan 16 meter lang en wegend 66 ton, kan het materieel 340 Mle 12 een pantserdoorborend projectiel (RC) van 575 kg tot 35.000 meter verplaatsen. De koepel Mle 28 is afgeleid van de Mle 24, geïnstalleerd in de batterij van Cépet, in Toulon. Hij verschilt alleen door de toevoeging, onder de schootskamer, van een relaiskamer die de liften een variabele hoogte geeft, en zo de bouw van het werk in mijngalerij toelaat. De koepel is beschermd door een pantser van 270 mm vooraan en bovenop, en van 170 mm op de zijkanten en achteraan. Een kanon 100 Mle 1897-17, bestemd voor oefenschoten, is op het dak geïnstalleerd. Het gewicht van het draaiende geheel bedraagt meer dan 600 ton. Het vuurritme is een salvo elke 50 seconden, per koepel. De aanloop van het werk zal lang zijn, aangezien de werken pas echt starten in 1936, terwijl de eerste projecten die El Metline vermelden dateren van 1923. Intussen volgen financiële moeilijkheden en politieke schommelingen elkaar op. Het is de Société Tunisienne Chauffour-Dumez die belast wordt met de bouw van de batterij, die toen slechts één koepel omvat, door aanbesteding van 18 juni 1936. Maar het is het PV nr. 200 van 15 november 1936, dat, door het werk C toe te voegen, het werk zijn quasi-definitieve uitzicht geeft. De werken zullen zich uitstrekken tot juni 1940. De batterij is gelegen op de djebel Bou Choucha, 16 kilometer ten oosten van Bizerte, op een gemiddelde hoogte van 230 meter. Zij bestaat uit drie afzonderlijke elementen, die elk een schachtafsluiter met lift hebben, en met elkaar verbonden zijn door een ondergrondse galerij. Van west naar oost vindt men zo werk B, de infrastructuur van de commandopost en de PDT, werk A, de infrastructuur van koepel II en werk C, de infrastructuur van koepel I. De onderlinge afstanden zijn 320 meter tussen de 2 koepels, en 330 meter tussen koepel II en de PDT. Werk A, dat koepel II omvat, de enige die operationeel zal zijn, bevat het massief van de koepel, in gewapend beton, met een diameter van 20,40 meter en 7 meter hoog. De kuip van de koepel, gelegen in het centrum van het massief, is verbonden via een schacht van 6,20 meter met de verdeelkamer, waarrond de verschillende projectielen- en kardoesmagazijnen, met een capaciteit van 200 schoten, stervormig georganiseerd zijn. Een verbindingsgang verbindt dit deel met de bijruimten, die de hoofdcentrale omvatten, met haar 2 SGCM-groepen van 530 kWh, de hulpcentrale, uitgerust met 2 groepen van 30 kWh, de lokalen voor de dieselolietanks, de werkplaats en het geconditioneerde ventilatiesysteem. Er zijn geen leefruimten. Doorkruist door een 60 cm-spoor, bevinden deze verschillende elementen zich in een rechthoek van 112 op 40 meter. De bodemplaat ligt op hoogte 206,60. Een schacht, die de lift- en trapbuis bevat, komt uit in de betonnen hoofdafsluiter, die aan de oppervlakte komt op hoogte 231. Werk B, verbonden met werk A door een galerij van 243 meter en een trap van 112 treden, omvat de commandopost, uitgerust met een coördinatenomzetter C Mle 1931-35, de PDT met zijn aangebouwde afstandsmeterpost, voorzien van een H Mle 34, en een afsluiter van hetzelfde type als werk A, maar verkleind. Een kleine bunker zal later worden gegoten om deze afsluiter te beschermen. De PDT, waarvan de bodemplaat op hoogte 251,80 ligt, communiceert met de commandopost via een ladderschacht van 21,10 meter. Een hulp-PDT was voorzien op Kaap Blanc, maar alleen het ruwbouw zal ervan voltooid worden. Werk C, dat koepel I omvat, lijkt sterk op werk A, waarmee het verbonden is door een galerij van 235 meter die door een 60 cm-spoor wordt doorkruist. Zijn hoofdcentrale heeft slechts één groep, en de gewonnen plaats heeft de bouw van een inkwartiering voor 48 man toegelaten. De projectielenmagazijnen zijn iets langer, om 50 schoten ‘tegen land’ te kunnen bergen. Dit werk zal nooit operationeel zijn. In juni 1940 was koepel I gemonteerd, maar niet ingeschoten, de elektrische installatie niet gelegd, het aggregaat en de lift niet geïnstalleerd. Koepel I heeft nooit het vuur geopend. De eerste proefschoten van koepel II vinden plaats in februari 1940. Op de datum van 27 april van hetzelfde jaar bedraagt het effectief 150 man, zonder officieren. Het totale effectief van de batterij met 2 koepels werd geschat op 300 man, officieren inbegrepen. De externe inkwartiering, enkele jaren voor de batterij gebouwd, was trouwens voorzien voor dit effectief. Het werk wordt in oktober 1940 in stelling ‘ontwapend wapenstilstand’ geplaatst, en op 16 juni 1941 weer volledig oorlogsbewapend. De sluiting van de bewapening, voor de batterij met één koepel, wordt uitgesproken op 1 januari 1942. Op de datum van 9 maart 1942 hebben de kanonnen van koepel II, R 1922 nr. 2 en 4, elk 50 schoten afgevuurd. De Italiaanse marine neemt bezit van de batterij in november 1942. Zij zal haar, gesaboteerd, achterlaten in mei 1943. Ondanks heropbouwingsprojecten wordt zij in 1956 ontwapend, dan gesloopt, alvorens op 12 februari 1961 aan de Tunesische Staat te worden overgedragen. Tegenwoordig is het een school voor onderofficieren die de site bezet. Het werk, volledig leeg, imponeert door zijn afmetingen. De pantservoorringen van de koepels zijn er nog steeds, maar de PDT heeft zijn pantser verloren. Het defensieve réduit van Metline-Zébib had als taak de landbescherming van de batterijen van Metline en Kaap Zébib. Het omvat 7 dubbele kazematten en een enkele, een commandopost en een observatiepost. Een dubbele kazemat met mitrailleuskoepel verdedigt het strand van Beni-Ata, en drie kanonnen 47 op platform ontzeggen de toegangswegen tot het plateau. De enkele kazemat 1bis is nog steeds zichtbaar naast de PDT van Metline, evenals de dubbele kazemat GM die de pas tussen het plateau en de batterij van Kaap Zébib verdedigt. De observatiepost O is ook zichtbaar, nabij de watertoren van het dorp Metline. Een antitankgracht, geflankeerd door 75 kanonnen op affuit Mle 1916, was in 1942 in aanbouw. Het lijkt erop dat slechts één kanon geïnstalleerd was. Wat de luchtafweer betreft, omvatte zij 4 machinegeweren 8 mm, geïnstalleerd in kleine kuipen, nabij de PDT van Metline. Gelijkelijk Metline of El Metline genoemd. This work is the culmination of the concept of the main artillery battery, as defined by the chief engineer of naval artillery, Lecointre. Its 4 guns 340 Mle 1912 are installed in 2 turrets Mle 1928, manufactured by Schneider. These guns were designed for the armament of battleships of the Normandie class, whose construction was halted in 1914. Construction of the barrels continued after the war. Measuring over 16 meters and weighing 66 tons, the 340 Mle 12 equipment can fire a 575 kg armor-piercing shell (AP) to 35,000 meters. The turret Mle 28 is derived from the Mle 24, installed at the Cépet battery in Toulon. It differs only by the addition, beneath the firing chamber, of a relay chamber allowing variable height for the hoists, thus permitting construction of the work in a mine gallery. The turret is protected by 270 mm armor on the front and top, and 170 mm on the sides and rear. A 100 Mle 1897-17 gun, for reduced practice firing, is installed on the roof. The weight of the rotating assembly is over 600 tons. The rate of fire is one salvo every 50 seconds per turret. The gestation of the work will be long, as construction does not truly begin until 1936, while the first projects mentioning El Metline date from 1923. In the meantime, financial difficulties and political fluctuations follow one another. The Société Tunisienne Chauffour-Dumez is tasked with constructing the battery, which then comprises only one turret, by contract of June 18, 1936. But it is report No. 200 of November 15, 1936, which, by adding work C, gives the work its quasi-final form. The works will extend until June 1940. The battery is located on Djebel Bou Choucha, 16 kilometers east of Bizerte, at an average altitude of 230 meters. It consists of three distinct elements, each with a shaft exit and a hoist, connected to each other by an underground gallery. From west to east, one thus finds work B, the infrastructure for the command post and FCB, work A, the infrastructure for turret II, and work C, the infrastructure for turret I. The spacings are 320 meters between the 2 turrets, and 330 meters between turret II and the FCB. Work A, which includes turret II, the only one that will be operational, comprises the turret massif, of reinforced concrete, 20.40 meters in diameter and 7 meters high. The turret pit, located at the center of the massif, is connected by a 6.20-meter shaft to the distribution chamber, around which are organized various projectile and propellant charge magazines with a capacity of 200 rounds, arranged in a star pattern. A communication corridor links this part to the ancillary rooms, which include the main power plant with its 2 SGCM sets of 530 kWh, the auxiliary power plant equipped with 2 sets of 30 kWh, the room for diesel fuel tanks, the workshop, and the air-conditioned ventilation system. There are no living quarters. Traversed by a 60 cm gauge track, these various elements fit within a rectangle of 112 by 40 meters. The foundation slab is at elevation 206.60. A shaft containing the hoist shaft and stairs opens into the main concrete exit, which emerges at elevation 231. Work B, connected to work A by a 243-meter gallery and a staircase of 112 steps, comprises the command post, equipped with a coordinate converter C Mle 1931-35, the FCB with its attached rangefinder post, fitted with an H Mle 34, and an exit of the same type as work A but reduced in size. A small blockhouse will later be poured to protect this exit. The FCB, whose foundation slab is at elevation 251.80, communicates with the command post via a 21.10-meter ladder shaft. An auxiliary FCB was planned at Cape Blanc, but only its shell was completed. Work C, which includes turret I, is very similar to work A, to which it is connected by a 235-meter gallery traversed by the 60 cm gauge track. Its main power plant has only one set, and the space gained allowed for the construction of quarters for 48 men. The projectile magazines are slightly longer to house 50 rounds for "land targets." This work will never be operational. In June 1940, turret I was mounted but not calibrated, the electrical installation not laid, the generator set and hoist not installed. Turret I never opened fire. The first test firings of turret II took place in February 1940. As of April 27 of the same year, the strength was 150 men, excluding officers. The total strength of the battery with 2 turrets was estimated at 300 men, including officers. The external barracks, built a few years before the battery, was in fact planned for this strength. The work is placed in "armistice disarmed" position in October 1940 and fully rearmed for war on June 16, 1941. The completion of armament for the one-turret battery is declared on January 1, 1942. As of March 9, 1942, the guns of turret II, R 1922 No. 2 and 4, had each fired 50 rounds. The Italian navy takes possession of the battery in November 1942. It will abandon it, scuttled, in May 1943. Despite refurbishment projects, it is disarmed in 1956, then scrapped, before being handed over to the Tunisian State on February 12, 1961. Nowadays, a non-commissioned officer school occupies the site. The work, completely empty, is impressive in its dimensions. The turret front armor segments are still there, but the FCB has lost its armor. The defensive strongpoint of Metline-Zébib had the mission of providing landward protection for the Metline and Cape Zébib batteries. It comprises 7 double casemates and one single, a command post, and an observation post. A double casemate with a machine gun cupola defends Beni-Ata beach, and three 47 mm guns on platforms block the access roads to the plateau. The single casemate 1bis is still visible next to the Metline FCB, as is the double casemate GM defending the pass between the plateau and the Cape Zébib battery. Observation post O is also visible near the water tower of the village of Metline. An anti-tank ditch, to be flanked by 75 mm guns on carriage Mle 1916, was under construction in 1942. It seems only one gun was installed. As for anti-aircraft defense, it comprised 4 machine guns 8 mm, installed in small pits near the Metline FCB. Called indifferently Metline or El Metline. Toto dílo je vyvrcholením konceptu hlavní dělostřelecké baterie, jak jej definoval hlavní inženýr námořního dělostřelectva Lecointre. Její 4 děla 340 Mle 1912 jsou instalována ve 2 věžích Mle 1928, vyrobených firmou Schneider. Tato děla byla navržena pro výzbroj bitevních lodí třídy Normandie, jejichž stavba byla zastavena v roce 1914. Výroba hlavní pokračovala po válce. Měřící přes 16 metrů a vážící 66 tun, může materiál 340 Mle 12 vystřelit 575 kg těžký průbojný granát (RC) do vzdálenosti 35 000 metrů. Věž Mle 28 je odvozena od Mle 24, instalované v baterii Cépet v Toulonu. Liší se pouze přidáním přechodové komory pod palebnou komorou, umožňující proměnnou výšku výtahů, a tedy stavbu díla v důlní chodbě. Věž je chráněna 270 mm pancířem vpředu a nahoře a 170 mm na bocích a vzadu. Na střeše je instalováno dělo 100 Mle 1897-17 pro cvičnou střelbu. Hmotnost otočné části je přes 600 tun. Kadence je jedna salva každých 50 sekund na věž. Zrod díla bude dlouhý, protože práce skutečně začínají až v roce 1936, zatímco první projekty zmiňující El Metline pocházejí z roku 1923. Mezitím se střídají finanční potíže a politické výkyvy. Společnost Société Tunisienne Chauffour-Dumez je pověřena stavbou baterie, která tehdy zahrnuje pouze jednu věž, smlouvou ze dne 18. června 1936. Ale až zpráva č. 200 ze dne 15. listopadu 1936 přidáním díla C dává dílu jeho téměř konečnou podobu. Práce potrvají do června 1940. Baterie je umístěna na hoře Bou Choucha, 16 kilometrů východně od Bizerty, v průměrné nadmořské výšce 230 metrů. Skládá se ze tří samostatných prvků, z nichž každý má šachtový východ s výtahem a jsou propojeny podzemní chodbou. Od západu na východ se tak nachází dílo B, infrastruktura velitelského stanoviště a PDT, dílo A, infrastruktura věže II a dílo C, infrastruktura věže I. Osové vzdálenosti jsou 320 metrů mezi 2 věžemi a 330 metrů mezi věží II a PDT. Dílo A, které zahrnuje věž II, jedinou, která bude operační, obsahuje věžový masiv z železobetonu o průměru 20,40 metru a výšce 7 metrů. Jáma věže, umístěná ve středu masivu, je spojena 6,20 metru hlubokou šachtou s distribuční komorou, kolem které jsou uspořádána různá skladiště střel a prachových náloží s kapacitou 200 ran, uspořádaná do hvězdice. Spojovací chodba vede z této části k pomocným prostorám, které zahrnují hlavní elektrárnu s jejími 2 soustrojími SGCM po 530 kWh, pomocnou elektrárnu vybavenou 2 soustrojími po 30 kWh, místnost pro nádrže na naftu, dílnu a klimatizovaný ventilační systém. Nejsou zde ubytovací prostory. Protínána 60 cm kolejí, tyto různé prvky se vejdou do obdélníku 112 x 40 metrů. Základová deska je v kótě 206,60. Šachta obsahující výtahovou šachtu a schody ústí do hlavního betonového východu, který vystupuje na povrch v kótě 231. Dílo B, spojené s dílem A 243 metrů dlouhou chodbou a schodištěm o 112 stupních, obsahuje velitelské stanoviště vybavené převodníkem souřadnic C Mle 1931-35, PDT s připojeným dálkoměrným stanovištěm, osazeným H Mle 34, a východ stejného typu jako dílo A, ale zmenšený. Pro ochranu tohoto východu bude později odlit malý bunkr. PDT, jehož základová deska je v kótě 251,80, komunikuje s velitelským stanovištěm přes 21,10 metru hlubokou šachtu s žebříkem. Pomocný PDT byl plánován na mysu Blanc, ale dokončen bude pouze jeho hrubá stavba. Dílo C, které zahrnuje věž I, je velmi podobné dílu A, s nímž je spojeno 235 metrů dlouhou chodbou protnutou 60 cm kolejí. Jeho hlavní elektrárna má pouze jedno soustrojí a ušetřený prostor umožnil vybudovat ubytovnu pro 48 mužů. Skladiště střel jsou o něco delší, aby pojala 50 ran „proti pozemním cílům“. Toto dílo nikdy nebude operační. V červnu 1940 byla věž I namontována, ale nezasazena do palebného postavení, elektrická instalace nebyla položena, agregát a výtah nebyly instalovány. Věž I nikdy neotevřela palbu. První zkušební střelby věže II proběhly v únoru 1940. Ke dni 27. dubna téhož roku činil stav 150 mužů bez důstojníků. Celkový stav baterie se 2 věžemi byl odhadován na 300 mužů včetně důstojníků. Vnější kasárna, postavená několik let před baterií, byla mimochodem pro tento stav plánována. Dílo je v říjnu 1940 umístěno do polohy „odzbrojeno příměřím“ a 16. června 1941 znovu plně válečně vyzbrojeno. Uzavření výzbroje pro jednověžovou baterii je vyhlášeno 1. ledna 1942. Ke dni 9. března 1942 vystřelila děla věže II, R 1922 č. 2 a 4, každé po 50 ranách. Italské námořnictvo přebírá baterii v listopadu 1942. Zanechá ji, potopenou, v květnu 1943. Přestože existovaly projekty na opravu, je v roce 1956 odzbrojena, poté sešrotována, než je 12. února 1961 předána tuniskému státu. V dnešní době areál obsazuje škola pro poddůstojníky. Dílo, zcela prázdné, ohromuje svými rozměry. Předpancířové segmenty věží jsou stále na místě, ale PDT přišlo o svůj pancíř. Obranné reduit Metline-Zébib mělo za úkol pozemní ochranu baterií Metline a mysu Zébib. Skládá se ze 7 dvojitých a jedné jednoduché kasematy, velitelského stanoviště a pozorovatelny. Dvojitá kasemata s kulometnou kopulí brání pláži Beni-Ata a tři děla 47 na platformách uzavírají přístupové cesty na náhorní plošinu. Jednoduchá kasemata 1bis je stále viditelná vedle PDT Metline, stejně jako dvojitá kasemata GM bránící průsmyk mezi plošinou a baterií mysu Zébib. Pozorovatelna O je také viditelná poblíž vodojemu vesnice Metline. Protitankový příkop, který měly křížit děla 75 na lafetě Mle 1916, byl v roce 1942 ve výstavbě. Zdá se, že bylo instalováno pouze jedno dělo. Protiletadlová obrana zahrnovala 4 kulomety 8 mm, instalované v malých jámách poblíž PDT Metline. Nazývána stejně Metline nebo El Metline. © JJM 14/10/2007

Cité dans : Zitiert in : Geciteerd in: Cited in: Citováno v: Bizerte (Front de mer)

Inscrivez-vous ou Connectez-vous pour voir tout le document

Registrieren oder Anmelden um das ganze Dokument zu sehen

Registreer of Log in om het hele document te zien

Sign up or Log in to see the full document

Registrovat nebo Přihlásit pro zobrazení celého dokumentu