Verdun (citadelle de)[v26][49.159297 N, 5.377917 E]

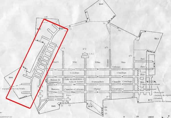
Camp retranché de Verdun, ville de Verdun. 228 m alt. La vieille citadelle d'Erard, à sept bastions, remaniée par Vauban, jouera un rôle non négligeable dans l'organisation du camp retranché. Elle sera améliorée pendant la quasi-totalité de la période couverte par cet index et officiellement considérée comme le réduit central de la place à partir de 1887. Ainsi, elle sera partiellement armée. En surface, on installera un casernement à l'épreuve, avec cour en puits de lumière, désigné habituellement comme les deux lignes des « casemates sud ». En fait, seule la ligne nord (11 travées) est composée de chambrées, celle qui lui est opposée (21 travées) est constituée de magasins. Ces deux lignes sont reliées par deux superbes arches. Le couloir de circulation à l’arrière des chambrées est éclairé par de hautes fenêtres, dispositif attestant que le bâtiment n'est que peu appuyé à un massif de terre. Vu que les chambrées sont assez basses, les murs, à la naissance des voûtes, ont été aménagés de façon à laisser la place pour les têtes des lits. Un très beau lavoir ponctue l'extrémité sud-ouest de ce casernement, non loin de la Porte de secours de la citadelle. Une seconde double ligne de magasins, au nord, à deux étages, cinq travées dont une sous arche, et comprenant quatre fours à pain, est désignée comme étant l’ensemble des « casemates nord ». De superbes maçonneries attendent là aussi l'amateur. Les locaux de stockage du premier étage ne sont accessibles que via de petits ponts donnant sur l'arrière du bâtiment, sans la moindre communication avec le rez-de-chaussée. La courtine entre les bastions de la Reine et du Roi recevra dès 1880 et en guise de tenaille (rôle qui, militairement parlant, n’est absolument pas le sien) un imposant bâtiment à trois niveaux. Ce bâtiment, exclusivement composé de magasins à vivres et particulièrement à blé, était accessible depuis le bastion de la Reine par une passerelle. Plusieurs poulies surmontent encore (12/2006) les fenêtres du second étage. Durant la Première Guerre, la défense du fossé au-devant de ces magasins, mais aussi des bastions de la Reine et du Roi ayant été rendue problématique de par l’implantation desdits magasins, on accola à leur façade deux petits blockhaus enfilant les fossés de leurs tirs, et accessibles uniquement par des passages vers les galeries profondes. Un casernement, prévu dès 1912 et concrétisé en 1914, devait initialement abriter le gouverneur de la place et son état-major. Bétonné et situé à un niveau intermédiaire (quoique sa dalle de ciel dépasse la surface de plus d’un mètre) non loin des casemates sud, on y trouve une chaudière de marque La Gauloise, des serpentins pour la circulation de l'eau chaude, une pompe à eau et une insolite tête de cage d'escalier à vis, avec des rambardes en ciment moulé que l'on s'attendrait plus à trouver à Chambord qu'à Verdun, qui plus est sous terre. Cet escalier, de 90 marches, est en briques de terre cuite, très rouges, avec des inclusions de briques blanches formant, à chaque demi-révolution, des croix de Lorraine. Au pied de l'escalier, un autre chronogramme confirme l'année de construction : 1914. La vieille caserne Beaurepaire sera aussi occupée et, à l'intérieur, une grande peinture murale (sas d'entrée ouest) découverte par JL Kaluzko représentera le champ de bataille avec les avancées de l'ennemi en 1916. À côté de cette caserne, l’ancienne tour Saint-Vanne, vestige de l'abbaye, se dresse encore fièrement tandis que quelques souterrains de cet édifice religieux subsistent à proximité. Les dessus, surtout côté nord et ouest, comportent un chemin couvert avec abris sous traverses dont certains, en fait les têtes des monte-charge, sont en béton spécial. L'un d'entre eux est encore complet et en très bon état de conservation. On peut encore voir quelques traverses creuses, dont deux dépourvues de mur de façade sont d'authentiques et étroites casemates à tir direct. Trois magasins à poudre occupent également les dessus. Celui près du casernement nord est le plus intéressant. Son local de stockage fait 14 × 10 m et est de forme ogivale. Il possède trois créneaux à lampe concentrés au centre du mur de fond, impliquant que les poudres ne pouvaient être stockées que de part et d'autre d'une allée centrale plus large. Autres particularités, le dallage depuis l'entrée jusqu'au sas inclus est en pavés de rue et ses terres de couverture sont elles-mêmes couvertes de tuiles. À l'est du casernement sud, nous trouvons les deux autres magasins. Le premier, datant de 1877, est plus classique et assez vaste (30 × 7 m) et proche de la porte Mortier, tandis que le second ressemble, la chicane d'entrée mise à part (recélant un escalier rejoignant les souterrains), beaucoup au magasin nord. Le réseau souterrain, de 16 à 20 m sous la surface, avec environ sept kilomètres de galeries pour l’essentiel creusées entre 1890 et 1893, est, à notre connaissance, le plus vaste complexe militaire souterrain français d'avant la Première Guerre mondiale. On l’appelle familièrement galeries Guinot du nom du chef du génie responsable de son exécution. Il est très regrettable que seule une infime partie en soit accessible au public. En effet, les 10 gigantesques salles des magasins à poudre et projectiles (7 sous la courtine entre bastion de France et bastion d'Angoulême plus 3 sous le bastion de France avec galerie inachevée pour l'arrivée du réseau de chemin de fer à voie étroite), pour l'essentiel avec systèmes d'éclairage complets et intacts hormis les lampes ; la plupart des immenses salles des abris et magasins, les installations de chauffage central (deux chaudières La Gauloise installées par les établissements Drevet et Lebigre), les cuisines avec un fourneau François-Vaillant (type A Mle 1895) et un autre Valance (en fait une caisse vide, placée en guise de leurre pour les touristes), les deux usines élévatoires et nous en passons, sont en domaine interdit. (Quel atout touristique inexploité avons-nous là !) Tous les bastions seront aménagés par des travaux d'urgence lors de la mise en défense en 1916. Nous avons eu la chance inouïe de faire partie des heureux élus ayant pu en parcourir un maximum. Ceux de la Reine, du Roi et d'Angoulême sont spectaculaires. Nous avons, pour l'essentiel, d'étroites gaines (parfois réaménagées dans les galeries de fusillade antérieures aux travaux de Vauban) menant à des postes de mitrailleuses et à des caves à canon creusées en 1916, recevant des tubes de 75 mm sur affût de casemate de Bourges, et occasionnellement au creux des bastions des locaux un peu plus vastes. Celui de la Reine toutefois fait exception par l’ampleur de ses locaux, qui abriteront la manutention de siège relevée sur les plans vers 1860, dont il reste un petit four à pain, antérieur donc aux 4 fours des magasins nord. Ce bastion de la Reine est spectaculaire entre tous car, bastion vide à l’origine, comblé sous Vauban, il fut réaménagé en 1815 par le creusement des trois principaux locaux ventilés par trois larges baies fort bien travaillées donnant dans une cour intérieure. Les anciennes embrasures orientées vers le bastion du Roi, obturées pendant les travaux de mise en défense pour ne laisser subsister qu’un créneau de mitrailleuse, frappent le regard par leurs ressauts intérieurs. Le bastion du Roi montre quant à lui 5 postes de mitrailleuses bétonnés dans d’anciennes embrasures, une salle avec deux lignes de sept latrines ainsi qu’un autre poste de tir dont l’accès perce le plafond de la galerie flanquante. Un relais de communications optiques était peut-être combiné avec la haute antenne de TSF surmontant la tour Saint-Vanne. Nous noterons l'installation en 1938, sur ces mêmes dessus (dans l’angle extérieur du bastion de la Reine), d'un bloc avec une tourelle de mitrailleuses reconstituée avec des morceaux de tourelles de Douaumont (voussoirs) et de Liouville (calotte). Il s’agit d’un simple bloc, sans couloir d’accès, avec un second à sa gauche pour un observatoire. Cet observatoire était en fait constitué d’une guérite blindée déjà en place en 1918 ??? Une seconde guérite blindée est toujours en place (12/2007) au centre du bastion du Dauphin. Notons pour mémoire à l’arrière du corps de garde de la porte de France un bâtiment que nous n’avons pu dater, dont la configuration nous laisse à penser qu’il était réservé aux punis. Plusieurs locaux devaient servir pour les arrêts simples et trois cachots ayant conservé leurs lits de bois en occupent le centre. Il existerait pour 2008 un projet de route pour traverser la citadelle qui, justement, doit d'être restée en bon état au fait qu'elle était fermée. On parle même de lotissement sur les dessus. Cette route risque bien d'être la porte ouverte à tous les déprédateurs possibles et les tags et immondices devraient avoir raison de ces vénérables vestiges. C'est consternant car vu l'ampleur (pleinement justifiée) du tourisme de mémoire à Verdun, seul moteur effectif de la renommée internationale de la ville, n’en déplaise à ceux qui se croient progressistes par leur seul mépris du passé, il devrait y avoir moyen de faire autre chose de ce site tout aussi insoupçonné que glorieux.

Befestigtes Lager Verdun, Stadt Verdun. 228 m ü. M. Die alte Zitadelle von Erard mit ihren sieben Bastionen, die von Vauban umgebaut wurde, spielte eine bedeutende Rolle bei der Organisation des befestigten Lagers. Sie wurde fast während des gesamten in diesem Verzeichnis erfassten Zeitraums verbessert und galt ab 1887 offiziell als zentrale Schanze des Ortes. Sie wurde daher teilweise bewaffnet. An der Oberfläche wurde eine Kaserne mit einem Innenhof und Lichtschächten errichtet, die üblicherweise als die beiden Linien der „südlichen Kasematten“ bezeichnet werden. Tatsächlich besteht nur die nördliche Linie (11 Joche) aus Kasernen, die gegenüberliegende (21 Joche) aus Magazinen. Diese beiden Linien sind durch zwei prächtige Bögen verbunden. Der Verkehrskorridor an der Rückseite der Kaserne wird durch hohe Fenster beleuchtet, was darauf hinweist, dass das Gebäude nur leicht von einer Erdmasse getragen wird. Da die Kasernen recht niedrig sind, wurden die Wände am Fuß der Gewölbe so angeordnet, dass Platz für die Kopfenden der Betten blieb. Ein sehr schönes Waschhaus prägt das südwestliche Ende dieser Kaserne, unweit des Notausgangs der Zitadelle. Eine zweite, zweistöckige, doppelte Magazinreihe im Norden mit fünf Jochen, darunter eines unter einem Bogen, und vier Brotbacköfen wird als Gruppe der „nördlichen Kasematten“ bezeichnet. Auch hier erwartet den Liebhaber prächtiges Mauerwerk. Die Lagerräume im ersten Stock sind nur über kleine Brücken zugänglich, die auf die Rückseite des Gebäudes blicken und keinerlei Verbindung zum Erdgeschoss haben. Die Kurtine zwischen der Bastion der Königin und der Bastion des Königs erhält ab 1880 als Zangenbau (eine Funktion, die ihr militärisch gesehen absolut nicht zusteht) ein imposantes dreistöckiges Gebäude. Dieses Gebäude, das ausschließlich Lebensmittel- und insbesondere Weizenlager beherbergte, war von der Bastion der Königin aus über eine Fußgängerbrücke erreichbar. Über den Fenstern im zweiten Stock befinden sich noch immer (12/2006) mehrere Flaschenzüge. Da im Ersten Weltkrieg die Verteidigung des Grabens vor diesen Lagern, aber auch der Bastionen der Königin und des Königs, durch die Lage dieser Lager erschwert wurde, wurden an deren Fassade zwei kleine Blockhäuser angebracht, die die Schützengräben umschlossen und nur über Gänge zu den tiefen Galerien zugänglich waren. Eine ab 1912 geplante und 1914 fertiggestellte Kaserne sollte ursprünglich den Gouverneur des Ortes und seinen Stab beherbergen. Sie ist betoniert und auf einer Zwischenebene gelegen (obwohl ihre Dachplatte die Oberfläche um mehr als einen Meter überragt), unweit der südlichen Kasematten. Dort befinden sich ein La-Gauloise-Kessel, Rohrschlangen zur Warmwasserzirkulation, eine Wasserpumpe und ein ungewöhnlicher Wendeltreppenkopf mit geformten Zementgeländern, die man eher in Chambord als in Verdun erwarten würde, insbesondere unter der Erde. Diese Treppe mit 90 Stufen besteht aus sehr roten Terrakotta-Ziegeln mit Einschlüssen weißer Ziegel, die bei jeder halben Umdrehung Lothringerkreuze bilden. Am Fuß der Treppe bestätigt ein weiteres Chronogramm das Baujahr: 1914. Die alte Beaurepaire-Kaserne wird ebenfalls bezogen sein und im Inneren zeigt ein großes Wandgemälde (westliche Eingangshalle), das von JL Kaluzko entdeckt wurde, das Schlachtfeld mit den feindlichen Vorstößen im Jahr 1916. Neben dieser Kaserne ragt noch stolz der alte Saint-Vanne-Turm empor, ein Überbleibsel der Abtei, während in der Nähe noch einige unterirdische Gänge dieses religiösen Gebäudes vorhanden sind. Die oberen Teile, insbesondere an der Nord- und Westseite, umfassen einen überdachten Gang mit Unterständen unter Schwellen, von denen einige, nämlich die Köpfe der Lastenaufzüge, aus Spezialbeton bestehen. Einer von ihnen ist noch vollständig und in einem sehr guten Erhaltungszustand. Wir können noch einige Hohlschwellen sehen, von denen zwei ohne Vorderwand authentische und schmale Direktfeuerkasematten sind. Drei Pulvermagazine nehmen ebenfalls die oberen Bereiche ein. Das Magazin in der Nähe der nördlichen Kaserne ist das interessanteste. Sein Lagerraum misst 14 × 10 m und hat eine spitzbogige Form. Es weist drei in der Mitte der Rückwand konzentrierte Laternenzinnen auf, was darauf hindeutet, dass das Pulver nur auf beiden Seiten eines breiteren Mittelgangs gelagert werden konnte. Weitere Besonderheiten sind die Pflasterung vom Eingang bis einschließlich der Schleuse und die mit Ziegeln bedeckte Erde. Östlich der südlichen Kaserne befinden sich die beiden anderen Magazine. Das erste stammt aus dem Jahr 1877, ist klassischer und ziemlich groß (30 × 7 m) und befindet sich in der Nähe des Mortier-Tors, während das zweite, abgesehen von der Eingangsschikane (die eine zu den unterirdischen Gängen führende Treppe verbirgt), dem nördlichen Magazin sehr ähnelt. Das unterirdische Netzwerk, 16 bis 20 Meter unter der Oberfläche, mit etwa sieben Kilometern an Stollen, die größtenteils zwischen 1890 und 1893 gegraben wurden, ist unseres Wissens der größte unterirdische Militärkomplex Frankreichs vor dem Ersten Weltkrieg. Er wird allgemein als „Guinot-Stollen“ bezeichnet, nach dem Leiter der für seinen Bau verantwortlichen Ingenieure. Es ist sehr bedauerlich, dass nur ein winziger Teil davon für die Öffentlichkeit zugänglich ist. Tatsächlich sind die 10 riesigen Räume mit Pulver- und Projektillagern (7 unter der Kurtine zwischen der Bastion de France und der Bastion von Angoulême sowie 3 unter der Bastion de France mit einem unvollendeten Stollen für die Ankunft des Schmalspurbahnnetzes) größtenteils mit vollständigen und intakten Beleuchtungssystemen ausgestattet, mit Ausnahme der Lampen; Die meisten der riesigen Schutz- und Lagerräume, die Zentralheizungsanlagen (zwei von den Betrieben Drevet und Lebigre installierte Kessel von La Gauloise), die Küchen mit einem Herd von François-Vaillant (Typ A Mle 1895) und einem weiteren Valance (eigentlich eine leere Kiste, die als Köder für Touristen aufgestellt wurde), die beiden Pumpstationen usw. sind verboten. (Was für ein ungenutztes touristisches Gut wir da haben!) Alle Bastionen wurden während der Verteidigung im Jahr 1916 im Rahmen von Notarbeiten ausgerüstet. Wir hatten das unglaubliche Glück, zu den Glücklichen zu gehören, die so viele wie möglich besichtigen konnten. Die Bastionen der Königin, des Königs und Angoulême sind spektakulär. Wir haben größtenteils enge Schächte (die manchmal vor Vaubans Arbeiten in den Schießständen neu angelegt wurden), die zu Maschinengewehrstellungen und Geschützkellern führen, die 1916 gegraben wurden und 75-mm-Geschütze auf Kasemattenlafetten von Bourges aufnehmen, und gelegentlich in den Hohlräumen der Bastionen der etwas größeren Räumlichkeiten. Die Bastion der Königin ist jedoch aufgrund der Größe ihrer Räumlichkeiten eine Ausnahme. In ihr wird die auf den Plänen um 1860 verzeichnete Belagerungsverwaltung untergebracht sein, von der ein kleiner Brotofen erhalten ist, der also älter ist als die 4 Öfen der nördlichen Magazine. Diese Bastion der Königin ist unter allen spektakulär, denn sie war ursprünglich eine leere Bastion, die unter Vauban aufgefüllt wurde. Sie wurde 1815 neu angelegt, indem die drei Haupträume gegraben wurden, die durch drei große, sehr gut gestaltete Erker belüftet werden, die sich zu einem Innenhof hin öffnen. Die alten Schießscharten gegenüber der Königsbastion, die während der Verteidigungsarbeiten blockiert wurden, sodass nur eine Schießscharte für Maschinengewehre übrig blieb, bestechen durch ihre inneren Vorsprünge. Die Königsbastion weist fünf Beton-Maschinengewehrstellungen in alten Schießscharten auf, einen Raum mit zwei Reihen von je sieben Latrinen sowie eine weitere Schießstellung, deren Zugang die Decke der flankierenden Galerie durchbohrt. Ein optisches Kommunikationsrelais war möglicherweise mit der hohen TSF-Antenne über dem Saint-Vanne-Turm verbunden. We will note the installation in 1938, on these same tops (in the outer corner of the Queen's bastion), of a block with a machine gun turret reconstructed with pieces of turrets from Douaumont (voussoirs) and Liouville (cap). It is a simple block, without an access corridor, with a second to its left for an observatory. This observatory was in fact made up of an armored sentry box already in place in 1918??? A second armored sentry box is still in place (12/2007) in the center of the Dauphin bastion. Let us note for the record at the rear of the guardhouse of the Porte de France a building that we have not been able to date, the configuration of which leads us to believe that it was reserved for those punished. Several rooms were to be used for simple stops and three dungeons that have preserved their wooden beds occupy the center. There is reportedly a project for a road to cross the citadel for 2008, which owes its continued good condition to the fact that it was closed. There is even talk of housing development on top of it. This road risks being an open door to all possible predators and the tags and filth should get the better of these venerable remains. This is appalling because given the (fully justified) scale of memory tourism in Verdun, the only effective driver of the city's international renown, despite those who believe themselves to be progressive simply by their contempt for the past, there should be a way to do something else with this site, as unsuspected as it is glorious.

Versterkt Kamp Verdun, stad Verdun. 228 m hoogte. De oude citadel van Érard, met zeven bastions, verbouwd door Vauban, zal een belangrijke rol spelen in de organisatie van het versterkte kamp. Het zal gedurende bijna de gehele periode die door deze index wordt bestreken, worden verbeterd en vanaf 1887 officieel beschouwd als het centrale bolwerk van de plaats. Het zal dus gedeeltelijk bewapend zijn. Aan de oppervlakte zal een proefkazerne worden gebouwd, met een binnenplaats met lichtkokers, gewoonlijk aangeduid als de twee linies van de "zuidelijke kazematten". In feite bestaat alleen de noordelijke linie (11 traveeën) uit barakken, de tegenoverliggende linie (21 traveeën) uit magazijnen. Deze twee linies worden verbonden door twee prachtige bogen. De circulatiegang aan de achterzijde van de kazerne wordt verlicht door hoge ramen, een voorziening die getuigt van het feit dat het gebouw slechts licht wordt ondersteund door een aardmassa. Omdat de barakken vrij laag zijn, werden de muren aan de voet van de gewelven zo geplaatst dat er ruimte overblijft voor de hoofdeinden van de bedden. Een zeer fraai washuis markeert de zuidwestelijke kant van deze barak, niet ver van de noodpoort van de citadel. Een tweede dubbele rij magazijnen, aan de noordkant, met twee verdiepingen, vijf traveeën, waarvan één onder een boog, en vier broodovens, wordt aangeduid als de groep "noordelijke kazematten". Ook hier wacht de liefhebber prachtig metselwerk. De opslagruimtes op de eerste verdieping zijn alleen toegankelijk via kleine bruggetjes die uitkijken op de achterkant van het gebouw, zonder enige verbinding met de begane grond. De ringmuur tussen het Koninginne- en Koningsbastion krijgt vanaf 1880 als tang (een rol die militair gezien absoluut niet bij hem past) een imposant gebouw van drie verdiepingen. Dit gebouw, dat uitsluitend bestond uit voedselvoorraden en met name graanopslagplaatsen, was vanuit het Koninginnebastion bereikbaar via een loopbrug. Verschillende katrollen (12/2006) overspannen nog steeds de ramen op de tweede verdieping. Tijdens de Eerste Wereldoorlog werd de verdediging van de gracht voor deze winkels, maar ook van de bastions van de Koningin en de Koning, bemoeilijkt door de ligging van deze winkels. Aan de gevel werden twee kleine bunkers bevestigd, die de grachten van hun kazematten omsloten en alleen toegankelijk waren via gangen naar de diepe galerijen. Een kazerne, gepland in 1912 en voltooid in 1914, was oorspronkelijk bedoeld om de gouverneur van de plaats en zijn staf te huisvesten. De kazerne is van beton en bevindt zich op een tussenniveau (hoewel de dakplaat meer dan een meter boven het oppervlak uitsteekt), niet ver van de zuidelijke kazematten. Hier bevinden zich een La Gauloise-ketel, spoelen voor de warmwatercirculatie, een waterpomp en een ongewone wenteltrap met gegoten cementen leuningen die je eerder in Chambord dan in Verdun zou verwachten, vooral onder de grond. Deze trap met 90 treden is gemaakt van zeer rode terracotta bakstenen, met insluitsels van witte bakstenen die bij elke halve omwenteling Lotharingse kruisen vormen. Aan de voet van de trap bevestigt een ander chronogram het bouwjaar: 1914. De oude Beaurepaire-kazerne zal ook worden bewoond en binnenin zal een grote muurschildering (in de westelijke entreehal), ontdekt door J.L. Kaluzko, het slagveld met de vijandelijke opmars in 1916 voorstellen. Naast deze kazerne staat de oude Saint-Vanne-toren, een overblijfsel van de abdij, nog steeds trots overeind, terwijl enkele ondergrondse gangen van dit religieuze gebouw in de buurt te vinden zijn. De bovenste gedeelten, met name aan de noord- en westzijde, omvatten een overdekte loopbrug met schuilplaatsen onder dwarsliggers, waarvan sommige, in feite de koppen van de goederenliften, van speciaal beton zijn gemaakt. Eén ervan is nog steeds compleet en in zeer goede staat. Er zijn nog enkele holle dwarsliggers te zien, waarvan er twee zonder voorgevel authentieke en smalle kazematten zijn. Drie kruitmagazijnen bevinden zich eveneens in de bovenste ruimtes. Het magazijn bij de noordelijke kazerne is het meest interessant. De opslagruimte meet 14 × 10 m en heeft een spitsboogvorm. Het heeft drie lampkantelen geconcentreerd in het midden van de achterwand, wat impliceert dat het kruit alleen aan weerszijden van een breder middenpad kon worden opgeslagen. Andere bijzonderheden zijn de bestrating vanaf de ingang tot de luchtsluis, inclusief de bedekking met tegels. Ten oosten van de zuidelijke kazerne vinden we de andere twee magazijnen. Het eerste, daterend uit 1877, is klassieker en vrij groot (30 × 7 m) en ligt dicht bij de Mortierpoort, terwijl het tweede, afgezien van de chicane bij de ingang (waarachter een trap naar de ondergrondse gangen verborgen ligt), sterk lijkt op het noordelijke magazijn. Het ondergrondse netwerk, 16 tot 20 meter onder de grond, met ongeveer zeven kilometer aan galerijen, grotendeels gegraven tussen 1890 en 1893, is, voor zover wij weten, het grootste Franse ondergrondse militaire complex van vóór de Eerste Wereldoorlog. Het wordt in de volksmond de Guinot-galerijen genoemd, naar de chef van de ingenieurs die verantwoordelijk waren voor de bouw ervan. Het is zeer betreurenswaardig dat slechts een klein deel ervan toegankelijk is voor het publiek. Inderdaad, de 10 gigantische zalen met kruit- en projectielopslag (7 onder de ringmuur tussen het Bastion van Frankrijk en het Bastion van Angoulême plus 3 onder het Bastion van Frankrijk met een onvoltooide galerij voor de komst van het smalspoornetwerk), grotendeels met complete en intacte verlichtingssystemen, met uitzondering van de lampen; De meeste enorme schuil- en voorraadkamers, de centrale verwarmingsinstallaties (twee La Gauloise-ketels geïnstalleerd door de vestigingen van Drevet en Lebigre), de keukens met een François-Vaillant-fornuis (type A Mle 1895) en nog een Valance (in feite een lege kist, neergezet als lokmiddel voor toeristen), de twee pompstations, enzovoort, zijn verboden. (Wat een onbenutte toeristische troef hebben we daar!) Alle bastions zullen tijdens de verdediging in 1916 worden uitgerust met noodwerkzaamheden. Wij hadden het ongelooflijke geluk tot de gelukkigen te behoren die er zoveel mogelijk konden bezoeken. Die van de Koningin, de Koning en Angoulême zijn spectaculair. We hebben grotendeels smalle schachten (soms herontwikkeld in de schietgalerijen vóór Vaubans werk) die leiden naar machinegeweerposities en geschutkelders die in 1916 werden gegraven, met 75 mm-buizen op Bourges-kazematten, en af en toe in de holte van de bastions van de iets grotere gebouwen. Het Koninginnebastion vormt echter een uitzondering vanwege de omvang van het terrein, dat de belegeringsoperatie huisvest die rond 1860 op de plannen vermeld staat. Er is nog een kleine broodoven over, die dus ouder is dan de vier ovens van de noordelijke magazijnen. Dit Koninginnebastion is spectaculair, want oorspronkelijk een leegstaand bastion, opgevuld onder Vauban, werd het in 1815 herontwikkeld door de drie hoofdruimtes uit te graven, geventileerd door drie grote, zeer goed ontworpen traveeën die uitkwamen op een binnenplaats. De oude schietgaten tegenover het Koningsbastion, geblokkeerd tijdens de verdedigingswerken zodat er slechts een schietgat voor een machinegeweer overbleef, vallen op door hun interne uitsteeksels. Het Koningsbastion toont vijf betonnen machinegeweerposities in oude schietgaten, een ruimte met twee rijen van zeven latrines en een andere schietpositie waarvan de toegang door het plafond van de flankerende galerij loopt. Een optische communicatierelais werd mogelijk gecombineerd met de hoge TSF-antenne boven de Saint-Vanne-toren. We will note the installation in 1938, on these same tops (in the outer corner of the Queen's bastion), of a block with a machine gun turret reconstructed with pieces of turrets from Douaumont (voussoirs) and Liouville (cap). It is a simple block, without an access corridor, with a second to its left for an observatory. This observatory was in fact made up of an armored sentry box already in place in 1918??? A second armored sentry box is still in place (12/2007) in the center of the Dauphin bastion. Let us note for the record at the rear of the guardhouse of the Porte de France a building that we have not been able to date, the configuration of which leads us to believe that it was reserved for those punished. Several rooms were to be used for simple stops and three dungeons that have preserved their wooden beds occupy the center. There is reportedly a project for a road to cross the citadel for 2008, which owes its continued good condition to the fact that it was closed. There is even talk of housing development on top of it. This road risks being an open door to all possible predators and the tags and filth should get the better of these venerable remains. This is appalling because given the (fully justified) scale of memory tourism in Verdun, the only effective driver of the city's international renown, despite those who believe themselves to be progressive simply by their contempt for the past, there should be a way to do something else with this site, as unsuspected as it is glorious.

Verdun Fortified Camp, city of Verdun. 228 m alt. The old citadel of Erard, with seven bastions, remodeled by Vauban, will play a significant role in the organization of the fortified camp. It will be improved during almost the entire period covered by this index and officially considered as the central redoubt of the place from 1887. Thus, it will be partially armed. On the surface, a proof barracks will be installed, with a courtyard in light wells, usually referred to as the two lines of the "southern casemates". In fact, only the northern line (11 bays) is composed of barracks, the one opposite it (21 bays) is made up of magazines. These two lines are connected by two superb arches. The circulation corridor at the rear of the barracks is lit by tall windows, a device attesting to the fact that the building is only slightly supported by an earth mass. Since the barracks are quite low, the walls, at the base of the vaults, were arranged to leave space for the heads of the beds. A very beautiful washhouse punctuates the southwest end of this barracks, not far from the emergency gate of the citadel. A second double line of magazines, to the north, with two floors, five bays including one under an arch, and including four bread ovens, is designated as the group of "northern casemates". Superb masonry awaits the enthusiast here too. The storage rooms on the first floor are only accessible via small bridges overlooking the rear of the building, without the slightest communication with the ground floor. The curtain wall between the Queen's and King's bastions will receive from 1880 and as a pincer (a role which, militarily speaking, is absolutely not its) an imposing three-story building. This building, exclusively composed of food stores and particularly wheat stores, was accessible from the Queen's Bastion by a footbridge. Several pulleys still (12/2006) surmount the windows on the second floor. During the First World War, the defense of the ditch in front of these stores, but also of the Queen's and King's bastions, having been made problematic by the location of said stores, two small blockhouses were attached to their facade, ensconcing the ditches of their shots, and accessible only by passages to the deep galleries. A barracks, planned from 1912 and completed in 1914, was initially intended to house the governor of the place and his staff. Concreted and located at an intermediate level (although its sky slab exceeds the surface by more than a meter) not far from the southern casemates, there is a La Gauloise boiler, coils for circulating hot water, a water pump and an unusual spiral staircase head, with molded cement railings that one would expect to find more at Chambord than at Verdun, especially underground. This staircase, with 90 steps, is made of very red terracotta bricks, with inclusions of white bricks forming, at each half-revolution, crosses of Lorraine. At the foot of the stairs, another chronogram confirms the year of construction: 1914. The old Beaurepaire barracks will also be occupied and, inside, a large mural painting (west entrance hall) discovered by JL Kaluzko will represent the battlefield with the enemy advances in 1916. Next to this barracks, the old Saint-Vanne tower, a vestige of the abbey, still stands proudly while some underground passages of this religious building remain nearby. The upper parts, especially on the north and west sides, include a covered walkway with shelters under sleepers, some of which, in fact the heads of the freight elevators, are made of special concrete. One of them is still complete and in a very good state of preservation. We can still see some hollow sleepers, two of which, without a front wall, are authentic and narrow direct-fire casemates. Three powder magazines also occupy the upper areas. The one near the northern barracks is the most interesting. Its storage room measures 14 × 10 m and is ogival in shape. It has three lamp crenellations concentrated in the center of the back wall, implying that the powders could only be stored on either side of a wider central aisle. Other particularities include the paving from the entrance to the airlock inclusive, and its covering earth is itself covered with tiles. To the east of the southern barracks, we find the other two magazines. The first, dating from 1877, is more classical and quite large (30 × 7 m) and close to the Mortier gate, while the second, apart from the entrance chicane (concealing a staircase leading to the underground passages), closely resembles the northern magazine. The underground network, 16 to 20 m below the surface, with approximately seven kilometers of galleries mostly dug between 1890 and 1893, is, to our knowledge, the largest French underground military complex before the First World War. It is familiarly called the Guinot galleries after the head of the engineers responsible for its construction. It is very regrettable that only a tiny part of it is accessible to the public. Indeed, the 10 gigantic rooms of powder and projectile stores (7 under the curtain wall between the Bastion of France and the Bastion of Angoulême plus 3 under the Bastion of France with an unfinished gallery for the arrival of the narrow-gauge railway network), for the most part with complete and intact lighting systems except for the lamps; Most of the huge shelter and store rooms, the central heating installations (two La Gauloise boilers installed by the Drevet and Lebigre establishments), the kitchens with a François-Vaillant stove (type A Mle 1895) and another Valance (in fact an empty box, placed as a decoy for tourists), the two pumping stations and so on, are prohibited. (What an unexploited tourist asset we have there!) All the bastions will be fitted out by emergency works during the defense in 1916. We had the incredible luck to be among the lucky ones who were able to visit as many as possible. Those of the Queen, the King and Angoulême are spectacular. We have, for the most part, narrow shafts (sometimes redeveloped in the shooting galleries prior to Vauban's work) leading to machine gun positions and gun cellars dug in 1916, receiving 75 mm tubes on Bourges casemate mounts, and occasionally in the hollow of the bastions of the slightly larger premises. The Queen's bastion, however, is an exception due to the size of its premises, which will house the siege handling noted on the plans around 1860, of which a small bread oven remains, therefore predating the 4 ovens of the northern magazines. This Queen's bastion is spectacular among all because, originally an empty bastion, filled under Vauban, it was redeveloped in 1815 by digging the three main premises ventilated by three large, very well-crafted bays opening onto an interior courtyard. The old embrasures facing the King's Bastion, blocked during the defensive works to leave only a machine gun loophole, are striking for their internal projections. The King's Bastion shows 5 concrete machine gun positions in old embrasures, a room with two lines of seven latrines as well as another firing position whose access pierces the ceiling of the flanking gallery. An optical communications relay was perhaps combined with the high TSF antenna surmounting the Saint-Vanne tower. We will note the installation in 1938, on these same tops (in the outer corner of the Queen's bastion), of a block with a machine gun turret reconstructed with pieces of turrets from Douaumont (voussoirs) and Liouville (cap). It is a simple block, without an access corridor, with a second to its left for an observatory. This observatory was in fact made up of an armored sentry box already in place in 1918??? A second armored sentry box is still in place (12/2007) in the center of the Dauphin bastion. Let us note for the record at the rear of the guardhouse of the Porte de France a building that we have not been able to date, the configuration of which leads us to believe that it was reserved for those punished. Several rooms were to be used for simple stops and three dungeons that have preserved their wooden beds occupy the center. There is reportedly a project for a road to cross the citadel for 2008, which owes its continued good condition to the fact that it was closed. There is even talk of housing development on top of it. This road risks being an open door to all possible predators and the tags and filth should get the better of these venerable remains. This is appalling because given the (fully justified) scale of memory tourism in Verdun, the only effective driver of the city's international renown, despite those who believe themselves to be progressive simply by their contempt for the past, there should be a way to do something else with this site, as unsuspected as it is glorious.

Opevněný tábor Verdun, město Verdun. 228 m n. m. Stará citadela Erard se sedmi baštami, přestavěná Vaubanem, bude hrát významnou roli v organizaci opevněného tábora. Bude zlepšována téměř po celé období, které tento index zahrnuje, a od roku 1887 bude oficiálně považována za centrální redutu místa. Bude tedy částečně ozbrojena. Na povrchu budou instalována odolná kasárna s nádvořím ve světelných šachtách, obvykle označovaných jako dvě linie „jižních kasemat“. Ve skutečnosti pouze severní linie (11 polí) se skládá z kasáren, ta naproti ní (21 polí) je tvořena sklady. Tyto dvě linie jsou spojeny dvěma nádhernými oblouky. Průchod pro chodbu v zadní části kasáren je osvětlen vysokými okny, což svědčí o tom, že budova je jen mírně podepřena zemní hmotou. Vzhledem k tomu, že kasárna jsou poměrně nízká, byly zdi v patě kleneb uspořádány tak, aby ponechaly prostor pro hlavy postelí. Jihozápadní konec těchto kasáren, nedaleko nouzové brány citadely, lemuje velmi krásná prádelna. Druhá dvojitá řada skladů na severu, se dvěma patry, pěti boxy, včetně jednoho pod obloukem, a čtyřmi pecemi na chléb, je označena jako skupina „severních kasemat“. I zde čeká na nadšence nádherné zdivo. Skladovací místnosti v prvním patře jsou přístupné pouze přes malé mosty s výhledem na zadní část budovy, bez sebemenší komunikace s přízemím. Opláštění mezi Královninou a Královskou baštou získá od roku 1880 jako klešťovou (role, která z vojenského hlediska absolutně neodpovídá její) impozantní třípatrovou budovu. Tato budova, složená výhradně ze skladů potravin a zejména obilí, byla z Královniny bašty přístupná po lávce. Několik kladek stále (12/2006) převyšuje okna ve druhém patře. Během první světové války byla obrana příkopu před těmito sklady, ale také Královniny a Královské bašty, ztížena umístěním uvedených skladů. K jejich průčelí byly přistavěny dva malé sruby, které zakrývaly střelecké příkopy a byly přístupné pouze chodbami do hlubokých galerií. Kasárna, plánovaná od roku 1912 a dokončená v roce 1914, měla původně ubytovat guvernéra města a jeho štáb. V mezilehlém patře (ačkoli jeho stropní deska přesahuje povrch o více než metr) nedaleko jižních kasemat se nachází betonový kotel La Gauloise, hady pro cirkulaci teplé vody, vodní čerpadlo a neobvyklé točité schodiště s tvarovaným cementovým zábradlím, které by se dalo očekávat spíše v Chambordu než ve Verdunu, zejména v podzemí. Toto schodiště s 90 schody je vyrobeno z velmi červených terakotových cihel s vměsí bílých cihel, které při každé půlotáčce tvoří lotrinské kříže. Na úpatí schodiště další chronogram potvrzuje rok výstavby: 1914. Stará kasárna Beaurepaire budou také obsazena a uvnitř bude velká nástěnná malba (západní vstupní hala), kterou objevil JL Kaluzko, představovat bojiště s postupujícími nepříteli v roce 1916. Vedle těchto kasáren stále hrdě stojí stará věž Saint-Vanne, pozůstatek opatství, zatímco poblíž se dochovaly některé podzemní chodby této náboženské budovy. Horní části, zejména na severní a západní straně, zahrnují krytou chodbu s přístřešky pod pražci, z nichž některé, ve skutečnosti hlavy nákladních výtahů, jsou vyrobeny ze speciálního betonu. Jeden z nich je stále kompletní a ve velmi dobrém stavu zachování. Stále můžeme vidět několik dutých pražců, z nichž dva, bez přední stěny, jsou autentické a úzké kasematy určené pro přímou palbu. V horních prostorách se nacházejí také tři prachárny. Nejzajímavější je sklad poblíž severních kasáren. Jeho skladovací prostor měří 14 × 10 m a má ogivální tvar. Má tři cimbuří s lampami soustředěné uprostřed zadní stěny, což naznačuje, že prach mohl být skladován pouze po obou stranách širší centrální uličky. Mezi další zvláštnosti patří dlažba od vchodu až po přechodovou komoru a její krycí zemina je sama pokryta dlaždicemi. Na východ od jižních kasáren najdeme další dva prachárny. První, pocházející z roku 1877, je klasičtější a poměrně velký (30 × 7 m) a nachází se blízko Mortierovy brány, zatímco druhý, kromě vstupní šikany (skrývající schodiště vedoucí do podzemních chodeb), se velmi podobá severnímu skladu. Podzemní síť, 16 až 20 m pod povrchem, s přibližně sedmi kilometry štol, které byly většinou vykopány mezi lety 1890 a 1893, je podle našich znalostí největším francouzským podzemním vojenským komplexem před první světovou válkou. Je známá jako Guinotovy galerie podle vedoucího inženýrů zodpovědných za její stavbu. Je velmi politováníhodné, že veřejnosti je přístupná jen nepatrná část. Zakázáno je totiž 10 obrovských místností se sklady prachu a střel (7 pod opevněním mezi Francouzskou baštou a Angoulêmeskou baštou a 3 pod Francouzskou baštou s nedokončenou galerií pro příjezd úzkorozchodné železniční sítě), většinou s kompletním a neporušeným osvětlením s výjimkou lamp; většina obrovských přístřešků a skladů, instalace ústředního topení (dva kotle La Gauloise instalované závody Drevet a Lebigre), kuchyně se sporákem François-Vaillant (typ A Mle 1895) a další zástěnou (ve skutečnosti prázdnou krabicí, umístěnou jako návnada pro turisty), dvě čerpací stanice atd. (To je ale nevyužitý turistický majetek!) Všechny bašty budou opraveny v rámci havarijních prací během obrany v roce 1916. Měli jsme neuvěřitelné štěstí, že jsme byli mezi těmi šťastlivci, kteří jich mohli navštívit co nejvíce. Bašty Královny, Krále a Angoulême jsou úchvatné. Většinou se jedná o úzké šachty (někdy přestavěné ve střelnicích před Vaubanovými pracemi) vedoucí k pozicím kulometů a dělostřeleckým sklepům vykopaným v roce 1916, které přijímají 75mm tubusy na kasematových úchytech v Bourges a občas i v dutinách bašt o něco větších prostor. Bašta Královny je však výjimkou kvůli velikosti svých prostor, kde se bude nacházet obléhací operace zaznamenaná na plánech kolem roku 1860, z nichž se dochovala malá pec na chléb, která tedy předchází 4 pecím severních skladů. Tato Královnina bašta je velkolepá ze všech, protože původně prázdná bašta, zasypaná za Vaubana, byla v roce 1815 přestavěna vykopáním tří hlavních prostor větraných třemi velkými, velmi dobře zpracovanými arkýři otevírajícími se do vnitřního nádvoří. Staré střílny směřující ke Královské baště, které byly během obranných prací zablokovány tak, že z nich zůstala pouze střílna pro kulomet, jsou pozoruhodné svými vnitřními výčnělky. Královská bašta ukazuje 5 betonových kulometných pozic ve starých střílnách, místnost se dvěma řadami sedmi latrín a také další palebnou pozici, jejíž přístup prochází stropem boční galerie. Optické komunikační relé bylo pravděpodobně kombinováno s vysokou anténou TSF tryskající nad věží Saint-Vanne. Všimněme si instalace bloku s kulometnou věží v roce 1938 na stejných vrcholech (ve vnějším rohu Královniny bašty), který byl rekonstruován z kusů věží z Douaumontu (podzemní věže) a Liouvillea (hlavní věž). Jedná se o jednoduchý blok bez přístupové chodby, s druhým blokem nalevo, který sloužil jako observatoř. Tato observatoř byla ve skutečnosti tvořena obrněnou strážní budkou, která již byla na místě v roce 1918??? Druhá obrněná strážní budka je stále na místě (12/2007) uprostřed Dauphinského bastionu. Pro úplnost si všimněme, že v zadní části strážnice Porte de France se nachází budova, kterou se nám nepodařilo datovat a jejíž uspořádání nás vede k domněnce, že byla vyhrazena pro trestané. Několik místností mělo sloužit k jednoduchým zastávkám a uprostřed se nacházejí tři žaláře, které si zachovaly svá dřevěná lůžka. Údajně existuje projekt na výstavbu silnice, která by měla procházet citadelou v roce 2008, a za svůj trvale dobrý stav vděčí skutečnosti, že byla uzavřena. Dokonce se mluví o bytové výstavbě na jejím vrcholu. Tato silnice riskuje, že se stane otevřenými dveřmi pro všechny možné predátory a špína a odpad by měly tyto úctyhodné pozůstatky zlikvidovat. To je otřesné, protože vzhledem k (plně oprávněnému) rozsahu paměťové turistiky ve Verdunu, která je jediným účinným motorem mezinárodní proslulosti města, navzdory těm, kteří se považují za pokrokové jen kvůli svému opovržení minulostí, by měl existovat způsob, jak s tímto místem, stejně netušeným jako slavným, udělat něco jiného.

Cité dans : Zitiert in : Geciteerd in: Cited in: Citováno v: Sainte-Adresse (fort de), Les tourelles type GF4 Mle 1899, Rozellier (fort du), Douaumont (fort de)